DORA's Blog
トロパエオルムをはじめ植物全般に関する話題,自然観察,蓼科の生活,趣味の世界(本,デジカメ,アロマ…)など,身近な話題をお話しします.
Login
│
Logout
≪
2026.01
┃ 1 2 3 4 5 6 7 8 9 10 11 12 13 14 15 16 17 18 19 20 21 22 23 24 25 26 27 28 29 30 31
≫
HOME
≫
蓼科ライフ
の記事
Category:
[PR]
2026-01-15-Thu
23:43:14 │
EDIT
×
[PR]上記の広告は3ヶ月以上新規記事投稿のないブログに表示されています。新しい記事を書く事で広告が消えます。
posted by
│
コメント(-)
│
トラックバック(-)
PAGE TOP
Category:
蓼科ライフ
カンパニュラ・サムベル
2010-07-23-Fri
20:43:35 │
EDIT
原村実践農場の鉢花温室で出会ったカンパニュラ.
名札は無く,顔なじみのレジのおばちゃんに「学名教えて」と尋ねてみた.わざわざ電話で大学の先生(たぶん)に問い合わせてくれて判明.
「サムベル (ロトゥンデフォリア)」とメモに書いて下さった.という訳で,これはCampanula rotundifolia 'Thumbell'
白花の他に青花もあるようだが,売り切れた模様.ちょっと残念.耐寒性バッチリとの事なので地植えにしておこう.
PR
posted by
DORA
│
コメント(6)
│
トラックバック()
PAGE TOP
Category:
蓼科ライフ
ダブルフラワー・カモミール
2010-07-21-Wed
20:53:42 │
EDIT
庭で咲き出しているダブルフラワー・カモミール.
日野春ハーブガーデンで入手した苗.
花は小さく1cmあるかないかの大きさ.しゃがんで写真を撮るのが大変.(^^;
玄関前の踏み石と踏み石の間に植え付けている.芝生みたいに少々踏んでも平気.もっと拡がってくれたら良いんだけど.
それにしても暑い.今日は31度.とても避暑地とは言えない暑さ.(-_-;)
posted by
DORA
│
コメント(0)
│
トラックバック()
PAGE TOP
Category:
蓼科ライフ
カワラナデシコ
2010-07-20-Tue
20:34:11 │
EDIT
数年前から勝手に我が家の庭に居着いているカワラナデシコ.
前回大阪に戻る時に花芽が出来てきたと思っていたら,今頃ようやく開花.
ヒラヒラと細い切れ込みのピンクの花弁は涼しげ.
年々株が大きくなって今年はたくさん花芽が出来ている.満開の状態は見られないかもしれないが,1つでも開花が見られて良かった.(^^)
posted by
DORA
│
コメント(0)
│
トラックバック()
PAGE TOP
Category:
蓼科ライフ
ビロードモウズイカ
2010-07-19-Mon
20:40:27 │
EDIT
散歩途中に出会ったビロードモウズイカ.
2m級の花茎が林立して見事.
崖の上なので見上げるようにして撮るとバックの青空がまぶしい.
梅雨明けして以来,いきなりの猛暑.昨日は最高気温29度,今日は30度.毎日この夏の最高気温を更新している.軽井沢でも今日の予想は30度超だった.信州も昼間は全然涼しくない.仕事していると日中はクーラーが必要.
夜温が下がるのがせめてもの救い.今週一週間は特に猛暑が続くらしい.暑さに弱い植物たちのためにも,水やり労力軽減のためにも夜には雨が降って欲しい.ついでに早く涼しくなってもらいたい…と勝手なことばかり思っている.(^o^)
posted by
DORA
│
コメント(4)
│
トラックバック()
PAGE TOP
Category:
蓼科ライフ
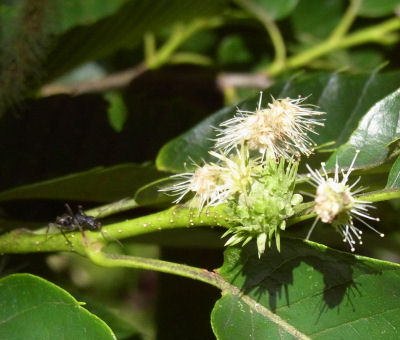
クリの実の赤ちゃん
2010-07-18-Sun
20:40:39 │
EDIT
フサフサのクリの花が咲き,その後に出来たクリの赤ちゃん.
小さな小さな実で直径1センチくらい,緑色をしている.
これが次第にトゲトゲのイガになっていくから面白い.
立派な栗になるまであと2ヶ月ほどかかるだろう.
今年はブルーベリーや栗にたくさん花が咲いていた.異常気象だけど豊作なのかな?ちょっと期待しておこう.
posted by
DORA
│
コメント(2)
│
トラックバック()
PAGE TOP
Category:
蓼科ライフ
終わりかけのペンステモン
2010-07-16-Fri
19:24:11 │
EDIT
本日蓼科入り.
昼間は蒸し暑かったが夕方は雨.30度近かった温度は一気に下がり24度になった.今日も大雨・洪水警報が出ている.
食料買い出しに行っての帰り,道路が濡れていた.が,少し走ると道路が乾いていて雨の降った形跡は全く無し.で,またしばらく走ると道路はしっかり濡れている…の繰り返し.ゲリラ的な雨のようだ.遠くで雷も鳴っている.
庭は悲惨な状態.ジギタリス林のジギタは茎が折れてお辞儀しているもの多数,初めて花を見るペンステモンはほとんど咲き終わった状態.(~_~;) 画像はかろうじて残っていたもの.少しだけでも見られただけマシ,と思っておこう.
posted by
DORA
│
コメント(0)
│
トラックバック()
PAGE TOP
Category:
蓼科ライフ
ウマノアシガタ
2010-06-20-Sun
20:59:18 │
EDIT
大阪は梅雨空続きのため蓼科滞在中に撮った写真を紹介.
黄色の小花は八島湿原で咲いていたウマノアシガタ.
どこが足形なのかさっぱり分からないが,花は可愛い.可愛いけれどキンポウゲ科で有毒植物.
黄色と言えばミツバツチグリも咲いていた.が,残念ながら良い画像無し.
posted by
DORA
│
コメント(0)
│
トラックバック()
PAGE TOP
Category:
蓼科ライフ
ジギタリス林
2010-06-18-Fri
20:30:24 │
EDIT
数年前から地植えにしているジギタリス.
T&Mで種を購入して栽培しているもの.(Foxglove Primrose Carousel)
10株ほどあるうち,昨年は2株ほど咲いただけ.昨年途中で場所替えをし,今年はようやく花穂が揃って上がった.ようやく目指していたジギタリス林の完成.(^^)
それにしても1本太い花穂が上がってくる株と細い花穂が複数本上がってくる株があるが,なんでだろう?栄養の吸い上げ状態の違いか?太い花穂は花も大きく 立派に見える.一方複数本の花穂は花茎がか細い感じで心もとなく花も小さめ.出来れば立派な花穂で揃って欲しかったのだが….
posted by
DORA
│
コメント(2)
│
トラックバック()
PAGE TOP
Category:
蓼科ライフ
レンゲツツジ
2010-06-17-Thu
20:30:40 │
EDIT
車山高原のレンゲツツジ.
梅雨の晴れ間にササッと見に行った.山麓付近がちょうど見頃.
鮮やかな朱色のツツジが点々と咲いている.少し標高があがるとまだつぼみ状態.
昔は山を上ることが出来たが,今は立ち入り禁止区域となっている.そのためサッと見てそれでおしまい.足元の草花も見られたのに残念.もっともロープウェーに乗れば山頂付近を楽しむことが出来るのだろうけどまだ行った事は無い.
この分でいけば全体的な見頃は6月下旬くらいかな.
posted by
DORA
│
コメント(0)
│
トラックバック()
PAGE TOP
Category:
蓼科ライフ
オダマキの咲き方
2010-06-16-Wed
20:30:00 │
EDIT
庭で咲き進んでいるオダマキ.
八重のフリフリで可愛い.既に花が終わり種が出来かけているものもある.
オダマキの咲き方を見ていて気づいたこと…トロパのsmithiiと似てる!
つぼみの時は下を向き,開花し始めるとだんだん上を向いてくる.そして完全に咲ききったら,まるであえいでいるように真上を向く.そして種が出来る.
こういう咲き進み方をする花って他にもあるんだろうか?なかなか面白い.(^^)
posted by
DORA
│
コメント(0)
│
トラックバック()
PAGE TOP
前のページ
←
HOME
→
次のページ
ブログ内検索
おすすめ
カウンター
プロフィール
管理人:
DORA
HP:
DORA's HP 遊歩
自己紹介:
ナスタチウム仲間をこよなく愛し,大阪と信州・蓼科高原を行ったり来たりしながら生活している.
天気予報
アクセス解析
アクセス解析
フリーエリア
カレンダー
12
2026/01
02
S
M
T
W
T
F
S
1
2
3
4
5
6
7
8
9
10
11
12
13
14
15
16
17
18
19
20
21
22
23
24
25
26
27
28
29
30
31
最新コメント
スペシャルは
(02/14)
なるほど
(返信済)
(02/14)
スタンダードです
(02/14)
無題
(02/13)
香りだけは…
(02/13)
おお~
(02/13)
ブログ不安定(-_-)
(02/12)
おや!
(02/12)
関西の園芸休憩期間は…
(02/11)
思わぬ展開が面白い!(^^)
(02/11)
リンク
DORA's HP 遊歩
本日休魚-別館
魔女おばさんのゆる~い生活
管理画面
新しい記事を書く
カテゴリー
園芸・植物関連 ( 1992 )
トロパエオルム ( 952 )
蓼科ライフ ( 1296 )
暮らし ( 80 )
メコノプシス ( 23 )
PC(ハード&ソフト)・デジカメ関連 ( 11 )
香り・ニオイ・アロマ ( 9 )
歯の矯正 ( 32 )
その他 ( 9 )
アーカイブ
2020 年 02 月 ( 12 )
2020 年 01 月 ( 27 )
2019 年 12 月 ( 32 )
2019 年 11 月 ( 30 )
2019 年 10 月 ( 31 )
最新TB
バーコード
RSS
RSS 0.91
RSS 1.0
RSS 2.0
100
P
101
P
102
P
103
P
104
P
105
P
106
P
107
P
108
P
109
P
110
P
Powered by
忍.jp
Design by
Alphaあるふぁ
Copyright © 2006
DORA's Blog
Some Rights Reserved.
http://dora222.blog.shinobi.jp/Category/6/105
忍者ブログ
[PR]